米獸🦪
@beijuu545
Fri, Jun 6, 2025 5:29 AM
Fri, Jun 6, 2025 5:31 AM
31
18
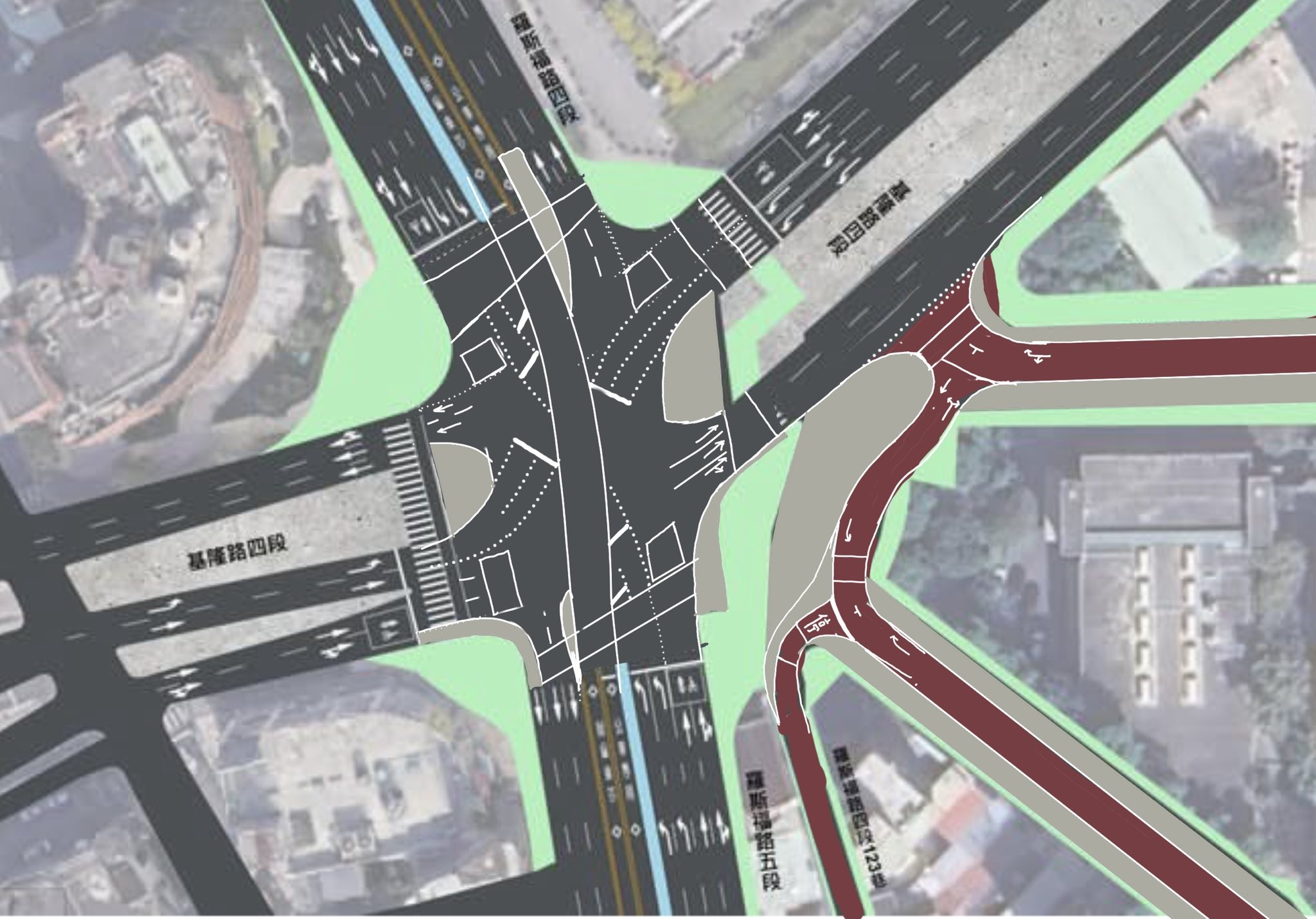
公館圓環最終設計好像不太行
右下巷弄的動線好亂啊
------------------------------
填平公車道方案版網路上有其他人改得比較好的
------------
當然還有我最喜歡的保留公車通道圓環版
下次玩city skyline又有設計參考了
甘田小篆@負負得正時代
@HWFate
Fri, Jun 6, 2025 5:30 AM
沒理由不保留
米獸🦪
@beijuu545
Fri, Jun 6, 2025 5:31 AM
Fri, Jun 6, 2025 5:31 AM
地下公車專用道填平的話蠻可惜的,公車失去優先通行權和其他車輛塞在平面等超長紅綠燈,運輸效率會大打折扣吧
甘田小篆@負負得正時代
@HWFate
Fri, Jun 6, 2025 5:32 AM
渦輪方案不錯呀……
豆腐妄想≠D
@yangweilin
Fri, Jun 6, 2025 5:34 AM
市政府說要填地下道的理由是要保護圓環下面的原水管,
但台北市自來水處的長官已經確認哪裡可以廢除沒有問題。
然後現在是蔣萬安在頭鐵。
睡眠充足者
@xyz12745
Fri, Jun 6, 2025 5:35 AM
他們設計路線的時候有沒有自己用city skyline跑過
星塵卡斯特 Ж
@CZXtar
Fri, Jun 6, 2025 5:37 AM
Fri, Jun 6, 2025 5:37 AM
公館圓環如果沒改好,到時預期會有大量景美+新店的駕車居民改搭捷運
如果綠線有到大坪林的區間車還好說,但是因為小碧潭
國大代表專用
支線佔用袋狀軌的關係,所以綠線區間車只有開到台電大樓
❤草莓❤
@demmy801
Fri, Jun 6, 2025 5:37 AM
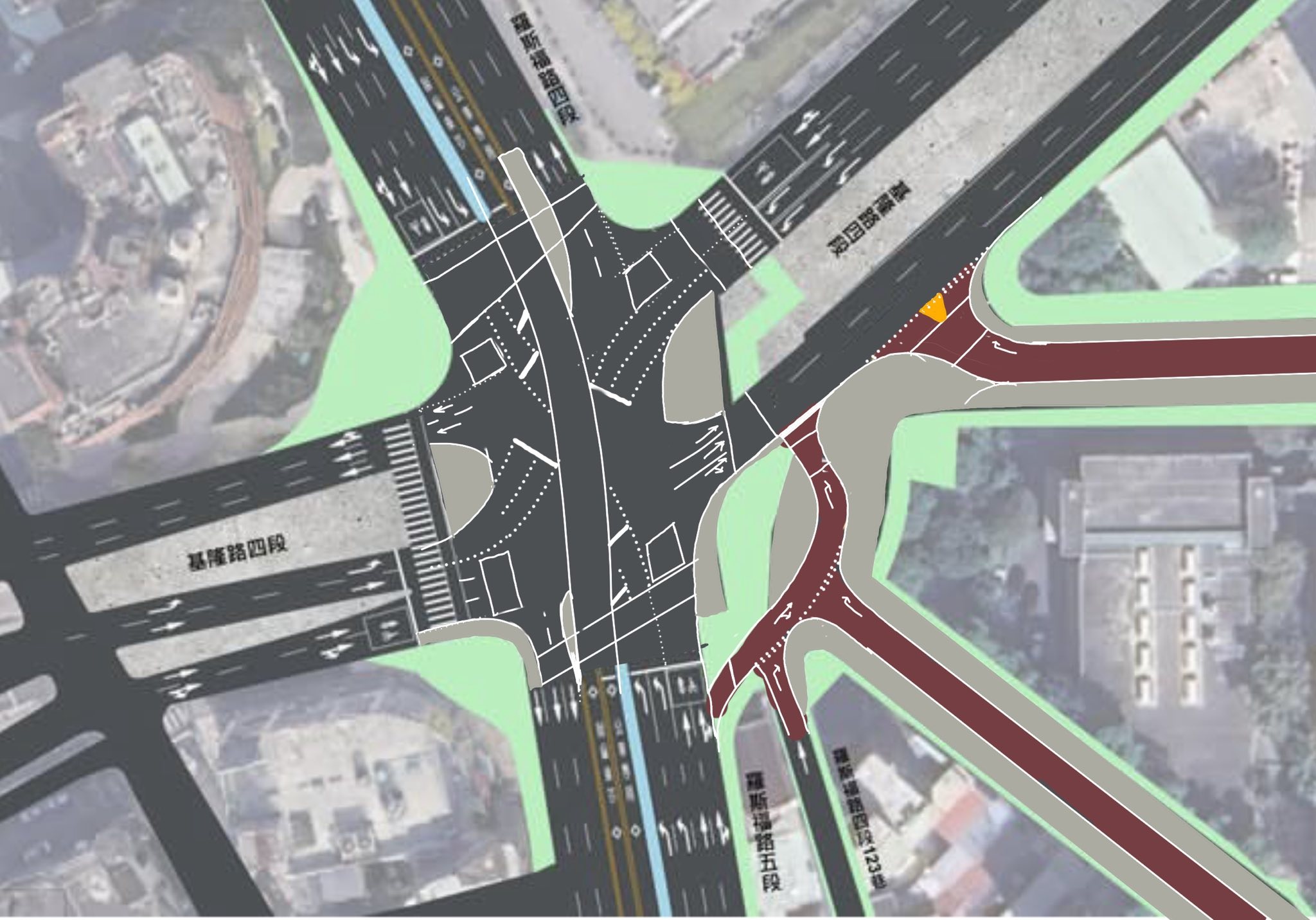
我看不懂為什麼右邊的車道有左邊的兩個寬........?
圈起來的地方怎麼看都覺得到底誰設計的奇怪動線
❤草莓❤
@demmy801
Fri, Jun 6, 2025 5:40 AM
那邊的公車數量+紅綠燈+車流量
這規劃怎麼想都超刺激,復刻當初蓋捷運的黑暗期嗎? 還不是期間限定版本
豆腐妄想≠D
@yangweilin
Fri, Jun 6, 2025 5:42 AM
大眾運輸問題是文山區,綠線不走文山區,文湖線要先過山頭。
星塵卡斯特 Ж
@CZXtar
Fri, Jun 6, 2025 5:42 AM
Fri, Jun 6, 2025 5:43 AM
豆腐妄想≠D
: 原本的景美區現在是文山區的範圍喔
米獸🦪
@beijuu545
Fri, Jun 6, 2025 5:44 AM
想到玩模擬類遊戲,只要是走車本規劃路線,玩到後期道路一定都會被塞爆讓人很頭痛w,
還好現在開局都直接大眾運輸蓋滿滿全部下來給我走路
Mond不在其位ki摸極易
@MondCFa
Fri, Jun 6, 2025 5:58 AM
看到有人說的,不在雙北不清楚那邊是怎樣,不過看到一堆住哪得全都跳出來靠背 笑死
6_k 嘖
@6_k
Fri, Jun 6, 2025 6:10 AM
開汽車要去景美新店的根本就應該走水源快速道路不要走這裡
6_k 嘖
@6_k
Fri, Jun 6, 2025 6:10 AM
開車的路線方案這麼多硬要在這裡跟別人擠.....
Goodman|天光
@Redeye
Fri, Jun 6, 2025 6:23 AM
路還是越寬大越好 .. 劃線不能解決車太多的問題 ...
Goodman|天光
@Redeye
Fri, Jun 6, 2025 6:25 AM
一層搞不定的 .. 就變成兩層吧 ... 一個平面容不下的車. 兩個平面就容易搞定了 ..
米獸🦪
@beijuu545
Fri, Jun 6, 2025 6:26 AM
Fri, Jun 6, 2025 6:29 AM
Goodman|天光
:
沒錯,因為我們地狹人稠,只要把那邊路旁的建築都拆掉再增加個10車道應該就能解決了,讓台北市變成只有柏油路和汽車的地方!
Goodman|天光
@Redeye
Fri, Jun 6, 2025 6:26 AM
米獸🦪
:
.
甘田小篆@負負得正時代
@HWFate
Fri, Jun 6, 2025 6:37 AM
根據實際狀況路再寬都能塞給你看
Pyrogen
@Senyoi
Fri, Jun 6, 2025 8:10 AM
原因應該是長官喜歡,沒有什麼理由
天草豪
@jkchangmac
Fri, Jun 6, 2025 9:27 AM
Fri, Jun 6, 2025 9:28 AM
苗博雅 MiaoPoya on Facebook
反對628倉促施工填平公館公車專用地下道!請蔣萬安市長聆聽民意
有聯屬,可以參考看看
豆腐妄想≠D
@yangweilin
Fri, Jun 6, 2025 10:07 AM
比較有趣的是,苗博雅用的資料都是市政府的研究報告。
市政府自來水處也說翡翠原水管啟用之後,涵管可以埋了不影響供水。
都是市政府的料,但市政府都不聽。
載入新的回覆
公館圓環最終設計好像不太行
右下巷弄的動線好亂啊
------------------------------
填平公車道方案版網路上有其他人改得比較好的
------------
當然還有我最喜歡的保留公車通道圓環版
下次玩city skyline又有設計參考了但台北市自來水處的長官已經確認哪裡可以廢除沒有問題。
然後現在是蔣萬安在頭鐵。
他們設計路線的時候有沒有自己用city skyline跑過如果綠線有到大坪林的區間車還好說,但是因為小碧潭
國大代表專用支線佔用袋狀軌的關係,所以綠線區間車只有開到台電大樓圈起來的地方怎麼看都覺得到底誰設計的奇怪動線
這規劃怎麼想都超刺激,復刻當初蓋捷運的黑暗期嗎? 還不是期間限定版本
還好現在開局都直接大眾運輸蓋滿滿全部下來給我走路沒錯,因為我們地狹人稠,只要把那邊路旁的建築都拆掉再增加個10車道應該就能解決了,讓台北市變成只有柏油路和汽車的地方!市政府自來水處也說翡翠原水管啟用之後,涵管可以埋了不影響供水。
都是市政府的料,但市政府都不聽。